No otrdienas līdz ceturtdienai būs ierobežota satiksme Tērvetes ielas posmā
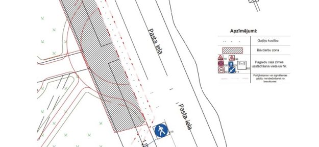
No 21. līdz 23. maijam būs ierobežota satiksme Tērvetes ielas posmā no Plostu ielas līdz Asnu ielai.
Satiksmes ierobežojumi saistīti ar ūdensvada izbūvi. Iedzīvotāji aicināti ievērot saskaņoto satiksmes organizācijas shēmu un izvietotās ceļa zīmes.











