8787pilsetsaimnieciba@jelgava.lv

Šodien vārda dienas svin: Ziedonis

RssTwitterFacebook
PILSĒTSAIMNIECĪBAPILSĒTSAIMNIECĪBA
PILSĒTSAIMNIECĪBA
  • Par mums
    • Iestāde
    • Struktūra
    • Iesniegumu veidlapas
    • Normatīvie dokumenti
    • Cenu aptaujas
    • Izsoles
    • Īpašumi
    • Budžets
    • Publiskie pārskati
    • Vakances
  • Aktualitātes
    • Satiksmes ierobežojumi
    • Jaunākie raksti
    • Nedēļas darbi
  • Darbības joma
    • Ielas, ietves un veloceliņi
    • Ielu apgaismojums
    • Hidrotehniskās būves
      • Ilgtspējīgi risinājumi lietusūdens apsaimniekošanā
      • Skandināvijas valstu pieredze un risinājumi
    • Tilti
    • Kapsētas
    • Satiksmes organizācija
    • Pašvaldības meži un koki
    • Mājdzīvnieki
    • Svētku nodrošinājums
    • Zaļās zonas
    • Arhitektoniskie veidojumi, vides objekti, strūklakas
    • Rotaļu laukumi un aktīvās atpūtas laukumi
    • Publiskie ūdeņi un atpūtas zonas
    • Jelgavas valstspilsētas pašvaldības satiksmes kustības drošības komisija
      • SKDK sēdes lēmumi
  • Projekti
  • Pakalpojumi
    • Maksas pakalpojumi
    • Nodevas
    • Topogrāfiskie plāni
    • Tehniskie noteikumi
    • Būvniecības ieceres dokumentācija
    • Atzinumi par būves/objekta gatavību ekspluatācijai
    • Rakšanas darbi
    • Satiksme
      • Atļaujas SOTL uzstādīšanai/noņemšanai
      • Satiksmes ierobežojumu saskaņošana būvdarbu laikā
      • Satiksmes ierobežojumu saskaņošana pasākumu laikā
    • Caurlaides un atļaujas
    • Kuģošanas līdzekļu stāvvietas
    • Ielu tirdzniecība
    • Apstādījumu ierīkošana
    • Piegulošās teritorijas kopšana
    • Apbedīšana
  • Sabiedrības līdzdalība
    • Daudzdzīvokļu dzīvojamo māju pagalmu labiekārtošanas programma
  • Kontakti
  • Saziņa
Menu back  
 
You are here:
  1. Home
  2. 2020
  3. aprīlis
  4. 15

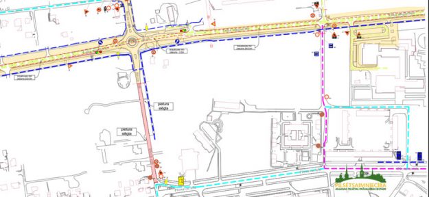
Satiksmes organizācijas shēma Loka maģistrālē

Aktuālā satiksmes organizācija Loka maģistrālē

15.04.2020Loka maģistrāles pārbūve, Satiksmes ierobežojumiBy Mājas lapas moderators
PILSĒTSAIMNIECĪBA
© 2015 Jelgavas valstspilsētas pašvaldības iestāde 'Pilsētsaimniecība'
Open toolbar

  • Palielināt tekstuPalielināt tekstu
  • Samazināt tekstuSamazināt tekstu
  • Augsts kontrastsAugsts kontrasts
  • Negatīvs kontrastsNegatīvs kontrasts
  • Reset Reset