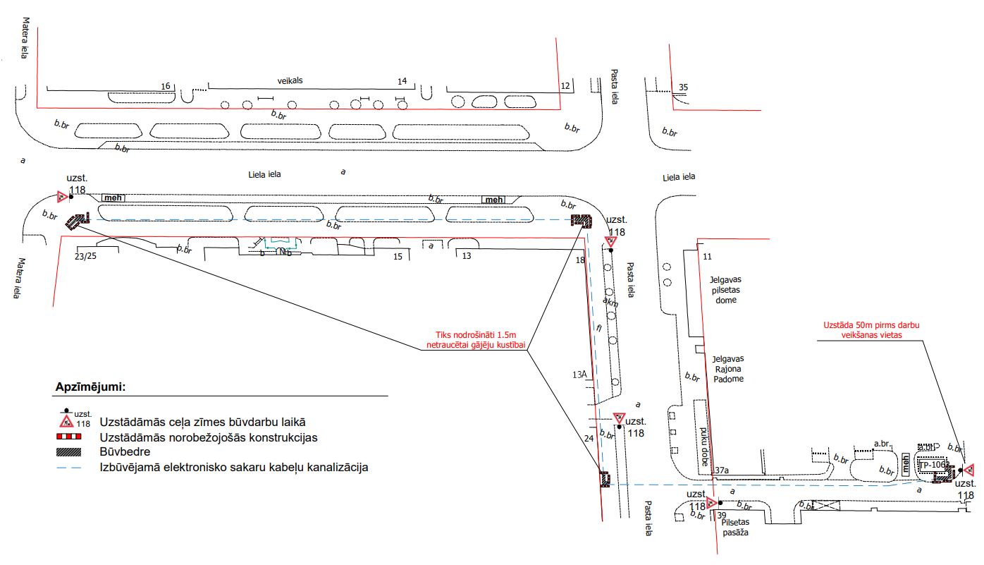
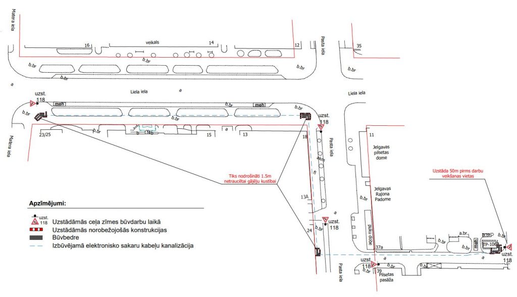
No 29. septembra līdz 13.oktobrim ierobežota satiksme Lielajā ielā, posmā no Mātera ielas līdz Pasta ielai, Pasta ielā, posmā no Lielās ielas līdz Pasta ielai Nr. 24 un teritorijā ar zemes vienības kadastra apzīmējumu 09000060426, būvdarbu laikā – elektronisko sakaru kabeļu izbūve ar beztranšeju (caurdures) metodi, ievērojot saskaņoto Satiksmes organizācijas shēmu.
No 29. septembra plkst. 08.00 līdz 29. septembrim plkst. 17.00 ierobežota satiksme 3.līnijā, posmā no Nameja ielas līdz Riekstu ceļam, būvdarbu laikā – elektrotīkla pieslēguma ierīkošana, kabeļtranšejas rakšana, ievērojot saskaņoto Satiksmes organizācijas shēmu.
Informāciju sagatavoja Jelgavas pilsētas pašvaldības iestāde “Pilsētsaimniecība”, kontakttālrunis 63048619.






