Satiksmes organizācijas shēma “Stādu dienām 2026” 9. un 10. maijā
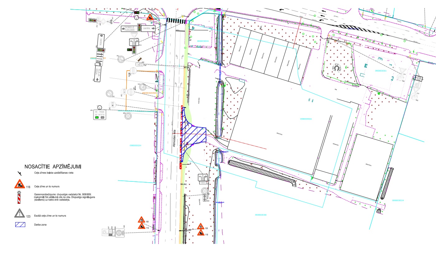
Ierobežota satiksme Atmodas ielā
No 24. maija līdz 9. jūnijam ierobežota satiksme Atmodas ielā, posmā no Dobeles šosejas līdz Asteru ielai, būvdarbu laikā – nobrauktuves ierīkošana/izbūve, ievērojot saskaņoto Satiksmes organizācijas shēmu.
Informāciju sagatavoja Jelgavas valstspilsētas pašvaldības iestāde “Pilsētsaimniecība”, kontakttālrunis 63048619.
Līdzīgi raksti





